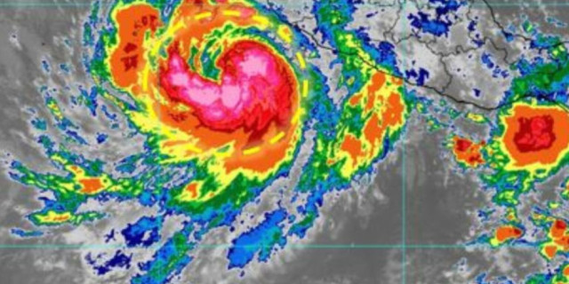
Aumenta a 16 muertes por 'Milton' y tornados en Florida
Vivo Noticias
@VivoNoticiasMx
FLORIDA, EE.UU.- Luego del
paso del huracán Milton por Florida, el pasado miércoles, se han reportado al menos
a 16 fallecidos. Varias de las víctimas murieron
a causa de los tornados ocurridos antes de la llegada del huracán, que ya se ha
disipado en el Atlántico. Además, según
información dada por CNN, se suman a al menos mil rescates hechos por los
cuerpos de socorro hasta la noche de este pasado jueves. Ron DeSantis,
gobernador de Florida, dijo ayer también que el número de víctimas mortales
puede aumentar a medida que prosiguen las operaciones de rescate. Hasta el momento se han
confirmado al menos seis muertes en el condado de St. Lucie, en la costa este
de Florida, donde tocaron tierra "tornados de giro rápido" antes de
la llegada de Milton. Según las autoridades,
varias de estas víctimas fallecieron después de que tornados provocados por
Milton azotaran la zona el miércoles en la tarde y tocaran tierra en la
comunidad de personas mayores Spanish Lakes Country Village, ubicada en el
norte de Fort Pierce. Otras dos muertes se
presentaron en St. Petersburg, en la costa oeste de Florida, donde arribó
Milton la noche del miércoles. Con información de agencias
