Huracán “Melissa”, de categoría 5, desata su furia sobre Jamaica con vientos de 280 km/h
Vivo Noticias
@VivoNoticiasMx
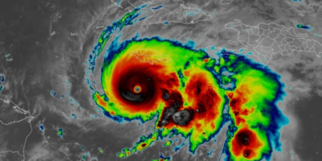
JAMAICA.- El huracán “Melissa”,
catalogado como categoría 5, ya causa estragos en Jamaica, donde se registran vientos
de hasta 280 kilómetros por hora y lluvias torrenciales que amenazan con
provocar inundaciones y daños catastróficos. El Centro Nacional de
Huracanes de Estados Unidos (NHC) advirtió que el sistema tocará tierra en las
próximas horas, manteniendo su intensidad extrema. Detallan que el ojo del
huracán se ubicaba esta mañana a 90 kilómetros al sur-sureste de Negril, en el
extremo occidental de la isla, avanzando hacia el nornoreste a 11 kilómetros
por hora. Las estaciones meteorológicas de Kingston y Montego Bay ya reportan ráfagas
de hasta 93 kilómetros por hora, mientras un avión “Cazahuracanes” de la Fuerza
Aérea estadounidense se dirige a la zona para evaluar los daños. Las autoridades
jamaicanas han pedido a la población refugiarse en lugares seguros ante el
riesgo de vientos devastadores capaces de provocar fallos estructurales totales,
sobre todo en zonas montañosas donde las ráfagas pueden intensificarse hasta un
30 por ciento. El NHC mantiene alertas
de huracán para toda Jamaica, las provincias orientales de Cuba —Granma,
Santiago de Cuba, Guantánamo y Holguín— y las Bahamas centrales y del sureste. En tanto, Haití, Las
Tunas y las islas Turcos y Caicos permanecen bajo aviso de tormenta tropical.
Para el miércoles, se prevé que “Melissa” cruce el sureste de Cuba y llegue al archipiélago
de las Bahamas el jueves. Con
información de agencias

